Anh Tiêu (họ tên nhân vật đã được thay đổi) sống tại Đài Loan (Trung Quốc) từng tin mình sống rất lành mạnh. Anh không uống nhiều rượu bia, chăm tập thể dục, ngủ sớm và gần như chỉ ăn cơm ở nhà. Thậm chí, anh còn duy trì một thói quen mà ai nghe […]
Giá vàng MỚI NHẤT hôm nay.
Ngay đầu phiên giao dịch, giá vàng giao ngay trên thị trường quốc tế đột ngột lao dốc mạnh. Theo tạp chí Nhịp sống thị trường đăng tải bài viết với tiêu đề: “Sáng 13/4: Giá vàng miếng SJC, vàng nhẫn trơn đều giảm”, nội dung như sau: Cập nhật mới nhất, giá vàng SJC […]
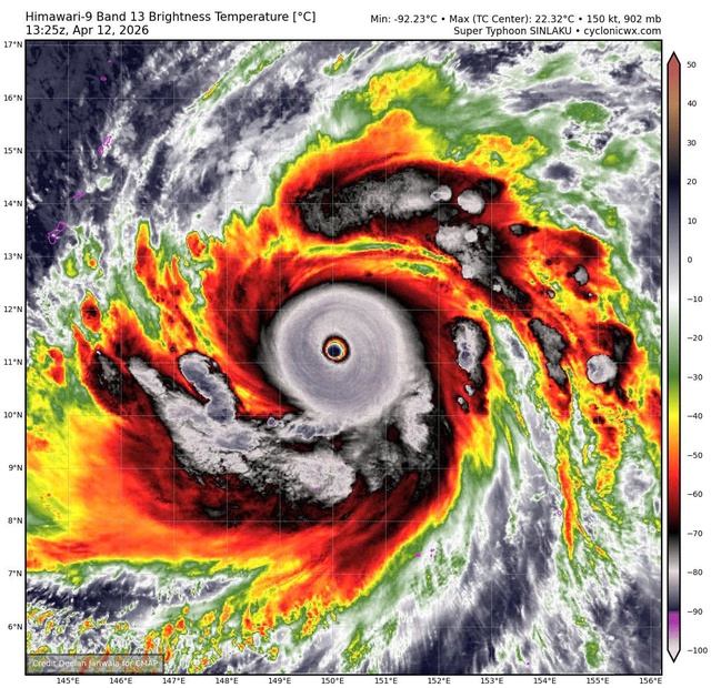
Siêu bão Sinlaku gió giật hủy diệt 350km/h, tiến về vùng ảnh hưởng đầu tiên
Siêu bão Sinlaku đang mạnh cực đại, hướng thẳng đến vùng ảnh hưởng đầu tiên trên Thái Bình Dương. Báo Lao động ngày 13/4/2026 đưa tin: “Siêu bão Sinlaku gió giật hủy diệt 350km/h, tiến về vùng ảnh hưởng đầu tiên”, nội dung cụ thể cho biết: Bão Sinlaku đã mạnh lên thành siêu bão với […]
Giá xăng dầu hôm nay 13-4:
Giá dầu thế giới Ghi nhận theo Oilprice vào lúc 5 giờ 15 phút ngày 13-4 (theo giờ Việt Nam), giá dầu Brent tăng 6,68 USD/thùng, tương đương 7,02%, lên mức 101,9 USD/thùng; giá dầu WTI tăng 7,81 USD/thùng, tương đương 8,09%, lên mức 104,4 USD/thùng. Theo Reuters, các cuộc đàm phán trực tiếp giữa […]
Giá vàng hôm nay 13-4: Vàng miếng giảm
Giá vàng miếng trong nước hôm nay Giá vàng miếng hôm nay được nhiều thương hiệu giữ ổn định so với sáng qua. Các thương hiệu SJC, DOJI, PNJ, Phú Quý đồng loạt niêm yết giá vàng miếng ở mức 169,4 – 172,4 triệu đồng/lượng mua vào – bán ra, đi ngang ở cả hai chiều. […]
Bì lợn – tưởng bỏ đi nhưng lại là ‘thần dược’ với sức khỏe
Sức Khỏe Bì lợn – tưởng bỏ đi nhưng lại là ‘thần dược’ với sức khỏe By Tạp Chí Nước Mỹ – 21/03/2026 3886 Thành phần dinh dưỡng của bì lợn Bài viết trên website Bệnh viện Đa khoa Vinmec được tư vấn chuyên môn bởi BS Võ Hà Băng Sương, khoa […]
Nhà nào dùng bình nóng lạnh thì hãy đọc: Em mới từ cõi ch/et trở về!
Bình nóng lạnh từ lâu đã trở thành thiết bị quen thuộc trong nhiều gia đình, đặc biệt tại khu vực miền Bắc Việt Nam khi thời tiết lạnh kéo dài. Tuy nhiên, đi kèm với sự tiện lợi là những rủi ro tiềm ẩn nếu người dùng chủ quan hoặc sử dụng sai cách. […]
Xuất hiện siêu bão đầu tiên năm 2026, đang tăng cấp chóng mặt
Bão Sinlaku đang mạnh lên nhanh chóng sau khi hình thành gần Biển Đông, được dự báo có thể trở thành siêu bão đầu tiên của năm 2026. Tạp chí Saostar ngày 12/4/2026 đăng bài: “Xuất hiện siêu bão đầu tiên năm 2026, đang tăng cấp chóng mặt”, cập nhật thông tin liên quan tới […]
Từ 40 tuổi, phụ nữ nếu xuất hiện 5 biểu hiện nên đi khám ngay vì 80% tế bào UT đang xâm lấn
Đây là thời điểm mà các cơ quan trong cơ thể bắt đầu có dấu hiệu suy giảm, nếu không chú ý thì rất dễ hình thành nhiều vấn đề nghiêm trọng khác, bao gồm cả ung thư (UT) nha mọi người. Theo nguồn thông tin gần đây mình đọc được trên báo thì ở […]
Lấy nhau đã 5 năm, vợ không có điểm gì để chê nhưng tôi vẫn có b-ồ, nói về cô b;/ồ thì, cô ta không có gì hơn vợ nhưng không có thì tôi cảm thấy thiếu
Lấy nhau đã 5 năm, tôi có một người vợ hiền đúng nghĩa. Cô ấy chẳng có điểm gì để chê: cơm nước chu toàn, hiếu thảo với bố mẹ chồng, ra ngoài thì giữ thể diện cho chồng. Bạn bè ai cũng bảo tôi số hưởng. Thế nhưng, không hiểu sao tôi […]
